睾丸肿瘤多为恶性,其发生率约占所有男性癌瘤的2%。根据组织发生可将其分为两大类,一类为起源于睾丸生殖细胞的肿瘤,包括精原细胞瘤、胚胎性癌、畸胎瘤、绒毛膜癌及内胚窦瘤等,较多见;另一类来自睾丸性索间质,包括睾丸间质细胞瘤和支持细胞瘤等,较少见。
精原细胞瘤(seminoma)起源于睾丸原始生殖细胞,为睾丸最常见的肿瘤,多发生于中年以后,常为单侧性,右侧略多于左侧。发生于隐睾的机率较正常位睾丸高几十倍。本瘤为低度恶性。
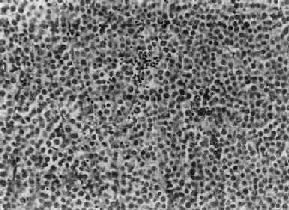
肉眼观,睾丸肿大,有时可达正常体积的10倍,少数病例睾丸大小正常。肿瘤体积大小不一,小者仅数毫米,大者可达十余厘米,通常直径为3~5cm。由于睾丸白膜比较韧厚,未被肿瘤破坏,故通常睾丸的原来轮廓尚保存。切面瘤组织呈淡黄或灰黄色,实体性,均匀一致如鱼肉,其中往往可见到不规则坏死区。镜下,典型的精原细胞瘤有瘤细胞形态结构单一和间质内有淋巴细胞浸润两个特征,(图14-1)。瘤细胞弥漫分布或呈索状结构,细胞的形态一致,与正常精小管内精原细胞相似,瘤细胞大,圆形或多角形、境界清楚、胞浆透明,核大、位于中央,核膜及染色质较粗,有1~2个嗜酸性核仁,核分裂像不多见。间质为纤细的纤维组织或致密的胶原纤维,其中有多少不等的淋巴细胞浸润,有时可有淋巴滤泡形成。

图14-1 精原细胞瘤
瘤细胞大、胞浆透明,核大,核仁明显,间质内有淋巴细胞浸润
少数精原细胞瘤的实质细胞大小不一,核粗大,分裂像较多,称为分化不良性或未分化性精原细胞瘤(anaplastic seminoma);另有少数精原细胞瘤的瘤细胞形态似不同成熟程度的精母细胞,称精母细胞型精原细胞瘤(spermatocytic seminoma),后者预后较好。
本瘤对放射治疗高度敏感。淋巴道转移较常见,血道转移较少发生。
胚胎性癌(embryonal carcinoma)起源于具有多分化潜能的原始生殖细胞,为高度恶性肿瘤,发病高峰在30~40岁,婴儿及儿童也可发生。
肉眼观,睾丸肿大,肿瘤常侵犯睾丸被膜及附睾。切面肿瘤实性,灰红或灰黄色,常有广泛出血坏死,偶见小囊腔形成。镜下,以癌组织结构的多样性为特征。瘤细胞为未分化的大小不一、形态不规则的细胞,细胞核大、染色深、染色质粗、核分裂像较多。细胞排列成各种不规则的条索状、网状、腺体状、圆柱状、乳头状,偶有囊腔形成。间质的形态很不一致,有的为胶原纤维,有的为肿瘤性原始间叶组织,有的为肉瘤样间质。
胚胎性癌常可与精原细胞瘤混合存在,或合并其他生殖细胞瘤。
胚胎性癌生长迅速,对放射线不敏感,预后较差,转移较早,多经淋巴道转移到髂内、髂总淋巴结。血道转移到肝、肺等处也较常见。